Description
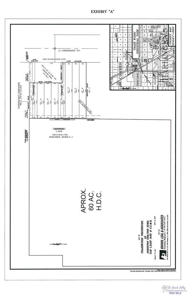
SUBDIVIDED, a total of 6.77 acres (Lots 8 through 15), Zoned Light Industrial. Situated on the west side of Interstate I-69E (Expwy 77) in north Harlingen, Texas, just south of Loop 499. Prime development site for warehouse park, any type business site providing ample parking area for vehicles/trucks. All utilities available to site. Subject site has +/-265' frontage on Expwy 77 and wraps around (L shape) the Prism Plastics building.
-
0BEDS
-
6.77ACRES
-
0BATHS
-
01/2 BATHS
School Information
Description
SUBDIVIDED, a total of 6.77 acres (Lots 8 through 15), Zoned Light Industrial. Situated on the west side of Interstate I-69E (Expwy 77) in north Harlingen, Texas, just south of Loop 499. Prime development site for warehouse park, any type business site providing ample parking area for vehicles/trucks. All utilities available to site. Subject site has +/-265' frontage on Expwy 77 and wraps around (L shape) the Prism Plastics building.
